Wieder einmal hatten wir eine Wagenladung mit Problemfällen beim Chirurgen in Berlin angemeldet.
Bei Rina war es uns relativ klar: ihre Kniescheibe bei einem Hinterbeinchen springt immer raus und muss operiert werden. Dr. Köhle bestätigte die Diagnose unserer Tierärztin. So kommt Rina also demnächst unter's Messer.
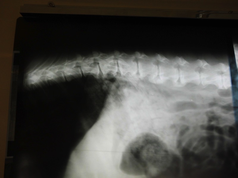
Bei Rolf gibt es leider keine Lösung. Er hat Spondylose, d.h. seine Wirbelsäule ist degenerativ verändert - leider im gesamten Verlauf. Rolf kommt damit klar. Er kann nur nicht mehr mit zu großen sportlichen Aktivitäten belastet werden.
Brody ist sehr aktiv und läuft auch öfter mit einem Gassigeher am Scooter. Wir glaubten, eine Unregelmäßigkeit beim Laufen bemerkt zu haben. Doch der Chirurg gab Entwarnung: Brody hat keinerlei Beschwerden.
Fjok lässt sich nicht gern ans Pfötchen fassen. Und auch im Genick darf man ihn nicht so ohne Weiteres berühren. Auch hier konnte der Tierarzt keine physischen Ursachen feststellen. Fjok mag es halt einfach nicht.
Lani stellten wir vor, weil wir dachten, sie hätte Schwellungen an ihren Beinen. Unsere Tierpfleger vermuteten Probleme mit den Karpalgelenken. Doch Lani hat einfach nur krumme Beinchen: ein bißchen Dackel, ein bißchen Corgie - und dann sieht es eben so aus, wie es aussieht. Auch Lani hat also keine Knochenkrankheit.
Von den fünf vorgestellten Hunden gibt es diesmal nur bei einem Handlungsbedarf. So waren vier umsonst zur Untersuchung - aber das ist uns allemal lieber, als wenn etwas unentdeckt bleibt.
Spendenkonto
Spendenkonto: 35 27 00 34 00BLZ: 160 500 00
Mittelbrandenburgische Sparkasse
IBAN: DE 05160500003527003400
BIC: WELADED1PMB

